Узнайте сумму кредита в Т‑БизнесеУзнайте сумму кредита в Т‑БизнесеОт 2 минут онлайнОт 2 минут онлайнПодробнее

РассылкиИдеи для бизнесаБизнес с нуляМаркетплейсыБухгалтерияЛайфстайлСправочникШаблоны документов
РассылкиИдеи для бизнесаБизнес с нуляМаркетплейсыБухгалтерияЛайфстайлСправочникШаблоны документов
Что такое экспликация и как ее получить

Чтобы бизнесу оформить ипотеку, узаконить перепланировку, восстановить технический или кадастровый паспорт, поменять целевое назначение объекта недвижимости, нужна экспликация помещений. Разобрались вместе с экспертами, что это за документ, каким бывает и где его взять.

Добавляйте статью в избранное ⭐, чтобы вернуться к ней в любой момент.

Что такое экспликация и для чего она нужна

Экспликация — это чертеж с таблицей, в которой перечислены характеристики объекта недвижимости. Обычно экспликацию составляют на этапе архитектурного проектирования. Готовый документ включают в технический и кадастровый паспорта, которые передают на хранение в бюро технической инвентаризации, БТИ.

Вот что входит в экспликацию:

  • адрес;
  • разбивка объекта на помещения и назначение каждого;
  • номера помещений согласно архитектурному плану;
  • площадь — общая и каждого помещения;
  • дата составления и фамилия специалиста.

Еще в таблицу включают дополнительные сведения, которые нужны для описания конкретного объекта: метраж и высоту потолков, этаж, категорию пожарной или взрывоопасности, понижающие коэффициенты для неотапливаемых зон.

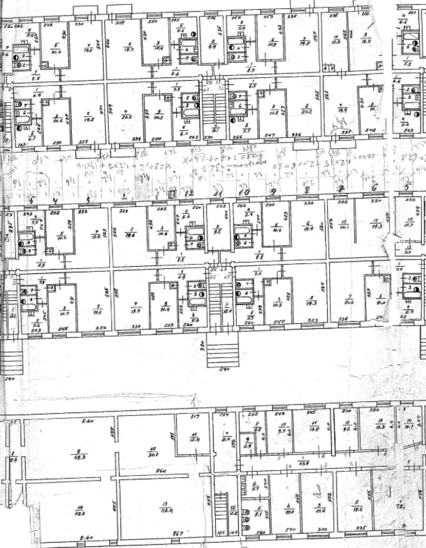
  • Экспликация из технического паспорта многоэтажного жилого дома
    1/2Пример экспликации из технического паспорта многоэтажного жилого дома
  • Поэтажный план
    2/2Пример поэтажного плана. В числителе — номер помещения по экспликации, в знаменателе — площадь

«Благодаря маркировке помещений в таблице и на плане легко сопоставить каждое пространство с его характеристиками, разобраться в функциональном наполнении».

Абраменков Андрей

Абраменков Андрей

Директор URBAN EXPERT, член НОПРИЗ

Экспликация нужна для проведения таких операций с недвижимостью:

  • постановка объекта на кадастровый учет — специалисты запрашивают документы на здание или помещение, в том числе техпаспорт;
  • подача заявки на ипотеку — работники банка проверяют все технические характеристики недвижимости;
  • получение разрешения на перепланировку и узаконивание уже сделанной;
  • изменение целевого назначения объекта — например, перевод квартиры в нежилой фонд;
  • ввод помещения в эксплуатацию или его приемка у застройщика;
  • прокладка инженерных систем.

Экспликацию изучают перед покупкой или арендой недвижимости. Знание реальных характеристик объекта влияет на стоимость сделки, налоговую нагрузку, возможность регистрации договора, шансы получения лицензий — например, для медицины, общепита или образования. А еще по экспликации и другим техническим документам можно предположить, насколько комфортно работать в помещении.

«Перед покупкой коммерческого объекта стоит посмотреть на экспликации, как организован доступ и где находятся технические помещения. Имеет значение количество санузлов и доступ к ним, места расположения индивидуальных счетчиков.

В целом предпринимателю надо оценить, сможет ли он эксплуатировать свой объект, если остальные собственники закроют свои офисы, насколько он автономен или зависим от порядочности соседей».

Дмитрий Постнов

Дмитрий Постнов

Основатель и технический директор TechCon

«При покупке коммерческой недвижимости встречаются подводные камни. Многие здания и помещения в старом фонде спроектированы по устаревшим строительным нормам. Прежние планировочные решения могут сильно отличаться от современных стандартов: инженерные сети расположены иначе, санитарные зоны организованы по‑другому. Без анализа экспликации легко упустить такие нюансы. В дальнейшем это создает сложности при перепланировке и модернизации объекта.

Особое внимание следует уделять помещениям в исторических зданиях или зданиях, которые обладают культурной ценностью. В таких случаях даже отдельные элементы планировки или интерьера могут находиться под охраной. Это существенно ограничивает возможности перепланировки, реконструкции, изменения назначения помещений. Надзорные органы могут не согласовать такие работы, а предпринимателю придется менять бизнес‑модель или искать другую недвижимость».

Маргарита Савицкая

Маргарита Савицкая

Руководитель проектов отдела продаж WE‑ON GROUP

☝🏼 Главный момент в экспликации — ее достоверность. Площади должны быть указаны точно: каждый квадратный метр коммерческой недвижимости стоит дорого, и даже незначительные расхождения могут привести к изменению стоимости сделки или условий ипотеки.

Виды экспликации

Есть три разновидности документа.

Экспликация квартиры. Описывает конкретное помещение: количество и площадь жилых комнат, расположение кухни, санузла, подсобок, террас, балконов, лоджий.

Экспликация здания. Описывает все строение, включает поэтажные планы, расположение основных помещений и зон общего пользования, стоянок, террас, крылец.

Экспликация к градостроительному или генеральному плану. Описывает здания, вспомогательные сооружения и общественные пространства на земельном участке.

Виды экспликации различаются масштабом: на уровне квартиры перечисляются комнаты, на уровне здания — помещения и функциональные зоны, в градостроительной документации — здания и сооружения на определенной территории.

«Проектировщики делают экспликацию по этажам. Позже ее делят на кусочки в соответствии с правами собственности, но эти кусочки остаются частями единой проектной экспликации».

Дмитрий Постнов

Дмитрий Постнов

Основатель и технический директор TechCon

☝🏼 При покупке нежилого здания, помещения или промышленного комплекса стоит детально изучить экспликацию. Все конфигурации, которые внесли прошлые владельцы, должны быть отражены в документах. Если в экспликации обнаружено несоответствие или выделенные красным конструкции, эти объекты не зарегистрированы и незаконны. Штрафы за незаконные переделки будет платить новый владелец.

Что такое поэтажный план и чем отличается от экспликации

Поэтажный план здания — это чертеж, который изображает все помещения на конкретном этаже с использованием условных обозначений. Например, офисы, санузлы, подсобки. На поэтажном плане рисуют капитальные стены и перегородки, указывают высоту потолков. Одним словом, показывают все те же сведения, которые включили в экспликацию.

«Поэтажный план и экспликация дополняют друг друга. Но в некоторых ситуациях предпринимателю важнее заказать поэтажный план, в других — экспликацию, в третьих — оба документа одновременно.

Например, если надо понять геометрию, структуру и логику пространства, автономность объекта и возможности для перепланировки, нужен поэтажный план. Если важно выяснить точную общую и полезную площадь для покупки, расчета аренды и налогов, требуется экспликация. Оба документа заказывают перед покупкой коммерческой недвижимости и объектов в долевой собственности, получением лицензии для бизнеса или банковского финансирования».

Абраменков Андрей

Абраменков Андрей

Директор URBAN EXPERT, член НОПРИЗ

☝🏼 Перед покупкой недвижимости надо выяснить, какое назначение объекта указано в экспликации. Если категория использования не указана в описании, могут возникнуть юридические и финансовые проблемы: невозможность использовать помещение под бизнес, проблемы с переводом в нежилой фонд, отказ банка в финансировании, налоговые последствия, сложности с регистрацией перехода прав собственности.

Аватар дайджеста

Рассылка: как вести бизнес в России

Пять полезных писем пришлем сразу после подписки. В них — бизнес‑идеи, готовые промпты для нейросетей, советы, как выбрать налоговый режим и получать пассивный доход

Аватар дайджеста

Как сделать экспликацию

Заказать экспликацию можно через БТИ, в МФЦ или на Госуслугах.

В БТИ организуют обследование помещений, составляют чертежи и сопроводительные таблицы. За экспликацией обращаются в территориальное отделение ведомства по месту расположения недвижимости. Если заказать документ напрямую у БТИ, можно получить его быстрее, чем при других способах оформления.

В МФЦ передают документы на оформление экспликации, которые позже попадают в БТИ. При таком способе подачи заявки можно записаться на прием на удобный день и час, но изготовления самой экспликации придется ждать дольше, чем при прямом обращении в ведомство.

На Госуслугах отправляют заявку в разделе «Предоставление документов». На сайте или в приложении автоматически появляется форма для загрузки документов. После этого система выдает заявителю день и адрес, где он может забрать экспликацию или поэтажный план.

Еще один способ получить технические документы на недвижимость — обратиться в стороннюю компанию.

«Заказать экспликацию в сторонней организации можно — это несложная базовая услуга. Но надо запросить у исполнителя наличие допуска СРО по проектированию, изучить отзывы в интернете или обратиться по рекомендации».

Дмитрий Постнов

Дмитрий Постнов

Основатель и технический директор TechCon

Для оформления экспликации нужны такие документы:

  • заявка;
  • копия паспорта заявителя;
  • квитанция об уплате пошлины — 1 200 ₽;
  • выписка из ЕГРН;
  • подтверждение права собственности на недвижимость.

Если документы подает представитель собственника объекта, к ним нужно приложить нотариальную доверенность. Если в помещении делали перепланировку, дополнительно предъявляют акт переустройства.

Заявитель получает расписку о приеме документов, узнает дату готовности экспликации и день, когда объект осмотрит инженер. Специалист приезжает, обследует помещение и составляет план. Готовую экспликацию заявитель забирает в день, который указан в расписке.

Т-Бизнес секреты: новости, анонсы событий, советы предпринимателей

Телеграм‑канал: 68 261 читатель

Т‑Бизнес секреты: новости, анонсы событий, советы предпринимателей
Подписаться

Стоимость и сроки изготовления

Фиксированной стоимости оформления экспликации нет: цены зависят от региона, площади и целевого назначения объекта. В среднем стоимость изготовления документа в сторонних организациях вдвое выше, чем в государственных структурах.

«В нашей практике оформление экспликации не самостоятельная услуга: она входит в комплексную проектную документацию. Мы не рассчитываем ее стоимость отдельно, только в составе общего архитектурного и технического решения.

Понятно, что объем работы специалистов в небольшом помещении, торговом центре и на промышленном объекте отличается, и это влияет на общую стоимость проекта».

Абраменков Андрей

Абраменков Андрей

Директор URBAN EXPERT, член НОПРИЗ

Срок изготовления экспликации в БТИ заявитель узнает при получении расписки о приеме документов, если подает заявку на сайте организации или лично. Если обращаться в организацию через МФЦ или на Госуслугах, экспликацию подготовят за 10—20 дней.

Сколько действует экспликация

Закон не ограничивает срок действия экспликации. Документ актуален, пока в объект не внесли изменения: например, сделали перепланировку или реконструкцию, передали по договору дарения, продали или обменяли. После этого экспликацию обновляют. Корректные технические документы на недвижимость увеличивают шансы на одобрение ипотеки, повышают доверие второй стороны сделки.

Главное

  1. Экспликация — таблица с характеристиками объекта недвижимости, которая дополняет поэтажный план.
  2. Экспликацию изучают перед покупкой или арендой недвижимости, чтобы понять реальные характеристики помещения или здания. Это влияет на стоимость сделки, налоги, получение лицензий для бизнеса.
  3. Если надо разобраться в геометрии и логике пространства, оценить возможности для перепланировки, нужен поэтажный план. Если интересна точная общая и полезная площадь объекта, требуется экспликация. Оба документа оформляют перед покупкой коммерческой недвижимости и объектов в долевой собственности.
  4. Заказать экспликацию можно на официальном сайте территориального отделения БТИ, через МФЦ или Госуслуги.
  5. Срок изготовления экспликации — 10—20 рабочих дней. Срок действия не ограничен, но после перепланировки, реконструкции или изменения собственника надо обновить документ.
Алина Плотникова
Алина Плотникова

Находили несостыковки в экспликации перед сделкой с недвижимостью? Расскажите об этом в комментариях.

Комментарии проходят модерацию по правилам редакции


Больше по теме
Новости

Подпишитесь на рассылки

Собираем самые полезные материалы, интересные мероприятия и важные новости в коротких письмах. Вы можете подписаться на одну из рассылок или на все сразу.

62K подписчиков

Дважды в неделю

Как вести бизнес в России

Важные новости, бизнес‑кейсы, разборы законов и практические советы для предпринимателей

15K подписчиков

Раз в неделю

Как зарабатывать на маркетплейсах

Новости торговых площадок, инструкции для селлеров и лайфхаки успешных продавцов

20K подписчиков

Раз в две недели

Мероприятия для бизнеса

Анонсы вебинаров, конференций и других событий для предпринимателей

3K подписчиков

Раз в две недели

Рассылка для бухгалтеров

Новости и советы, которые помогут упростить работу и больше зарабатывать